
Aktywność sejsmiczna znowu rośnie. Silne wstrząsy w różnych regionach świata zabiły już dziesiątki osób

Plastikowe śmieci paliwem dla samochodów i to już wkrótce

Gorąca pogoda nie odpuści. W przyszłym tygodniu termometry mogą pokazać nawet 30 stopni

Kataklizmy rujnują Japonię. Powodzie, trzęsienia ziemi i upały mają na swoim koncie setki ofiar

Fizycy chcą uzyskać ciemny foton, niszcząc diament z pomocą antymaterii

Może trudno w to uwierzyć, ale niektórzy wciąż są przekonani, że Ziemia jest płaska. Dlaczego?

W Polsce nie występują burze piaskowe? Nic bardziej mylnego. Zobacz to nagranie

NASA naprawdę zamierza wysłać na Czerwoną Planetę roje robo-pszczół

Początek września bardzo ciepły, słoneczny, ale też miejscami burzowy. Jaki będzie weekend?

W Rosji zima zjawiła się wyjątkowo wcześnie. Miejscami jest nawet minus 10 stopni i ponad 30 cm śniegu

Zanim zobaczycie na błękitnym niebie taką chmurę, sprawdźcie, co może ze sobą przynieść

ESA ukazuje zorze polarne na Saturnie w obiektywie teleskopu Hubble'a

Na Syberii powstanie park mamutów i innych wymarłych zwierząt
Tylko u nasWpadka twórców serialu "Drogi Wolności"? Bohaterki w 1914 roku wypowiadają słowo "tornado"

Naukowcom pierwszy raz udało się przewidzieć największe trzęsienie ziemi w Los Angeles od 4 lat

Astronomowie odkryli miliony czarnych dziur pożerających materię niedaleko Ziemi
Tylko u nasPrognoza 16-dniowa: Jaka pogoda będzie w pierwszej połowie września?

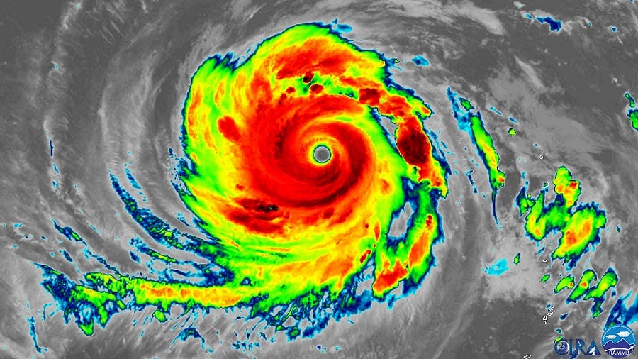
Oto Jebi, najpotężniejszy cyklon tropikalny, jaki narodził się od początku tego roku na świecie