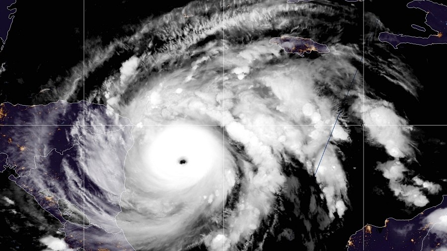
Iota jest już 30. nazwanym tropikalnym cyklonem na wodach Oceanu Atlantyckiego od początku tego roku. Nad Morzem Karaibskim, gdzie się narodził, gwałtownie przybrał na sile. W poniedziałek (16.11) osiągnął piątą, najwyższą kategorię w skali siły tego typu zjawisk.
Średnia prędkość wiatru osiągając 255 kilometrów na godzinę zapisała ten huragan jako najpotężniejszy na Atlantyku w listopadzie na tle ostatnich 88 lat, a więc od czasu śmiercionośnego huraganu, który w 1932 roku uderzył w Kubę.
W ciągu minionych 170 lat obserwacji tropikalnych cyklonów tylko dwukrotnie zdarzyło się, aby w listopadzie narodził się huragan piątej kategorii. Z kolei nigdy tak silny cyklon nie uderzył w tym miesiącu w Nikaraguę.
Zanim jednak oko cyklonu dotarło nad wschodnie wybrzeże Nikaragui, słabnąc do kategorii czwartej, przemknęło zaledwie kilkadziesiąt kilometrów od wyspy kolumbijskiej wyspy Providencia, gdzie uszkodzone zostały wszystkie domy, a 80 procent uległo całkowitemu zniszczeniu.
Żywioł dał się we znaki także w kontynentalnej części Kolumbii, gdzie ewakuowano 80 tysięcy ludzi z obszarów zagrożonych powodziami opadowymi i sztormowymi. W sąsiedniej Wenezueli powodzie uszkodziły prawie 300 domów.
Jednak najwięcej szkód Iota poczyniła w Nikaragui. Oko cyklonu wtargnęło nad ląd zaledwie 25 kilometrów od miejsca wejścia oka poprzedniego, równie silnego, cyklonu Eta. Powodzie i huraganowe wiatry spowodowały zniszczenia wielu budynków, dróg i mostów, odcinając całe miejscowości od prądu i łączności.
Z ostatnich, wciąż powiększających się, bilansów wynika, że zginęło co najmniej 14 osób, w tym 7 w Kolumbii, 6 w Nikaragui i 1 w Panamie. Kolejnych 15 osób pozostaje zaginionych bez wieści.
Źródło: TwojaPogoda.pl / NHC / CNN.
